tin bão
Tin Mới Nhất Về "tin bão"
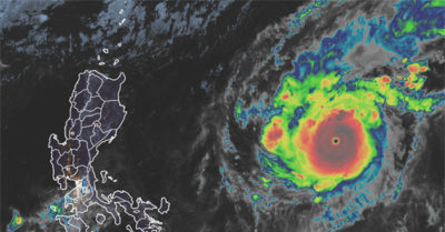
Goni trở thành bão mạnh nhất thế giới trong năm 2020, có thể đổ bộ vào Việt Nam
Chỉ trong 24 giờ, từ một cơn bão bình thường ở Thái Bình Dương, Goni đã gia tăng cấp độ, trở thành siêu bão mạnh nhất trên thế giới trong năm 2020. Lúc 1h sáng ngày 31/10, sức gió ở vùng gần tâm bão Goni mạnh ...