Siêu bão Sinlaku mạnh nhất thế giới từ đầu năm tiến về phía Nhật Bản
Siêu bão Sinlaku vừa đạt sức gió 190km/h tại Tây Bắc Thái Bình Dương. Đây là cơn bão mạnh nhất từ đầu năm 2026 và hiếm khi xuất hiện trong tháng 4.
- Khánh thành nhà dưỡng lão Láng Sen chăm sóc miễn phí cho 300 người cao tuổi neo đơn
- Truy tố ông trùm chiếm đoạt hơn 572 tỉ đồng của hàng ngàn người
- Hài cốt liệt sỹ: tìm thấy 2 bộ hài cốt kèm nhiều di vật tại Quảng Trị
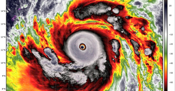
Tối 12/4, vùng biển Tây Bắc Thái Bình Dương ghi nhận sự hình thành của siêu bão Sinlaku với sức gió vùng tâm bão lên đến 190 km/h. Theo thang đo hiện tại, cường độ này tương đương cấp 16, giật trên cấp 17, đánh dấu một hiện tượng thời tiết đặc biệt gay gắt ngay từ những tháng đầu năm. Sự xuất hiện của một cơn bão với cường độ lớn như vậy trong tháng 4 là điều khá hiếm gặp, chỉ mới xảy ra ba lần tính từ năm 1977 đến nay.
Trước Sinlaku, lịch sử khí tượng chỉ ghi nhận hai trường hợp tương tự, gần nhất là siêu bão Surigae vào năm 2021. Với áp suất trung tâm đo được ở mức 920 hPa, Sinlaku chính thức vượt qua bão Maila tại khu vực Úc để trở thành cơn bão có sức tàn phá mạnh nhất thế giới tính đến thời điểm hiện tại của năm 2026. Hình ảnh từ vệ tinh cho thấy mắt bão hiện rõ nét với các dải mây đối lưu phát triển mạnh mẽ và có cấu trúc hoàn lưu đối xứng hoàn hảo.
Hiện tại, tâm bão vẫn còn ở khoảng cách khá xa, cách khu vực phía đông Philippines và Biển Đông khoảng 3.000 km. Các chuyên gia khí tượng nhận định rằng các điều kiện môi trường như nhiệt độ mặt nước biển cao và thông lượng nhiệt dồi dào đang tiếp tục nuôi dưỡng bão. Bên cạnh đó, độ đứt gió tầng cao yếu cũng là yếu tố then chốt tạo điều kiện cho bão có khả năng tăng cấp nhanh chóng trong vòng 24 giờ tới, có thể đạt cường độ cực đại lên tới cấp 17.
Diễn biến và dự báo hướng di chuyển của siêu bão Sinlaku
Về lộ trình di chuyển, dự báo trong ngắn hạn cho thấy siêu bão sẽ giữ hướng tây bắc với tốc độ trung bình khoảng 15 km/h. Sau giai đoạn này, hệ thống khí áp khổng lồ này được dự đoán sẽ có những thay đổi đáng kể về quỹ đạo. Cụ thể, bão sẽ đổi hướng di chuyển lên phía bắc và có khả năng thực hiện một cú chuyển hướng nữa sang phía bắc đông bắc trong khoảng từ ngày 16 đến ngày 17/4, hướng về vùng biển phía đông Nhật Bản.
Việc thay đổi hướng di chuyển liên tục này phản ánh sự tương tác phức tạp giữa bão và các hệ thống khí quyển xung quanh. Các mô hình dự báo cho thấy khi tiến gần đến vùng biển Nhật Bản, cường độ của Sinlaku sẽ bắt đầu suy giảm dần do gặp các điều kiện môi trường ít thuận lợi hơn. Dù vậy, với sức gió cực đại từ 185 đến 220 km/h, bão vẫn duy trì một năng lượng đáng kể trên đường đi, đòi hỏi sự theo dõi sát sao từ các cơ quan khí tượng trong khu vực.
Nhận định về khả năng ảnh hưởng trực tiếp đến khu vực gần hơn, Trung tâm Dự báo khí tượng thủy văn cho biết bão không có khả năng đi vào Biển Đông. Cơ quan này khẳng định hiện tại các dự báo đều thống nhất về việc bão sẽ chuyển hướng lên phía bắc thay vì tiến sâu vào vùng biển phía tây. Tuy nhiên, diễn biến thời tiết luôn có những biến số khó lường, nên các hoạt động theo dõi và cập nhật thông tin vẫn đang được thực hiện liên tục để đảm bảo an toàn hàng hải.
Theo: Báo Tuổi Trẻ